Please be advised that as of 16 October 2025, new fisheries measures will be in force for North West Rockall Bank SAC. The fisheries measures for this site are demersal mobile gear and demersal static gear prohibited in one zoned area. For more information about these fisheries measures please see 'Offshore Marine Protected Areas - fisheries management measures: supporting guidance on coordinates and restrictions' on the Scottish Government website. Updated conservation advice will be provided in due course.
Status: Special Area of Conservation (SAC)
Rockall Bank is an offshore bank situated in the North-East Atlantic, approximately 400 km west of the Outer Hebrides.
Video
Site
Situated in the North-East Atlantic, approximately 400 km west of the Outer Hebrides, Rockall Bank is an offshore bank and is potentially one of the most extensive areas for biogenic reef formed by cold-water coral species in UK waters.
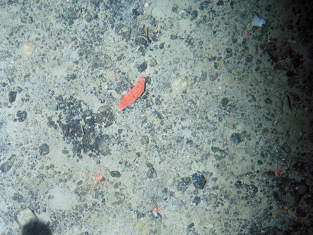
The north-west area of the Rockall Bank has been included as a SAC for two types of Annex I reef habitat – biogenic and stony. Interspersed with the stony reef throughout the site are sizeable patches of Annex I biogenic reef comprised primarily of Lophelia pertusa and associated species such as Madrepora oculata (another cold-water coral species). Notable species include erect bryozoa Reteporella sp., solitary corals Caryophyllia sp., serpulid worms and many types of sponges including globose, tubular, cup and encrusting varieties. The site includes iceberg ploughmarks, which are a type of Annex I stony reef habitat that consists of lines of cobbles and boulders with a sediment-filled furrow between. The associated biological communities are dependent on this mixed sediment and stony substratum, rather than on the underlying bedrock.
More detailed site information can be found in the Summary section below.
Map displaying the North West Rockall Bank MPA boundary and associated protected feature data. Visit JNCC's MPA Mapper to further view and explore data for this MPA.
Legislation
Legislation behind the designation: EU Habitats Directive 1992 transposed into UK law by The Conservation of Offshore Marine Habitats and Species Regulations 2017 (as amended).
Protected Features
| Feature | Feature Type |
| 1170 Reefs | Annex I habitat |
Specific information on the conservation objectives relating to this site is provided in the Conservation Advice section.
The acquisition of new data may result in updates to our knowledge on feature presence and extent within this site. The most up-to-date information is reflected on the map on this page and in JNCC’s MPA mapper and the evidence underpinning this can be viewed in the Monitoring and Evidence section.
Site Timeline
The diagram below is a summary of the key milestones involved in the selection and designation of North West Rockall Bank SAC. More detail can be found in the Relevant Documentation section below.
Relevant Documentation
The documents referred to below and any other historical documents relating to North West Rockall Bank SAC were produced during the selection and designation process and therefore may be out of date. This Site Information Centre is the most up-to-date source of information for this MPA, and will reflect any additional information gathered since these documents were produced. Information about the SAC site selection process is available on JNCC's SAC webpages.
- Standard Data Form – Details the SAC and the designated features;
- SAC Selection Assessment Document – Overview of the SAC, designated features and rationale for site selection;
- Consultation Report and Impact Assessment – Overview of the consultation outcomes, and an assessment of the environmental, social and economic costs and benefits of the designation.
- JNCC's formal conservation advice for this site is available in the Conservation Advice section.
These resources are available on JNCC's Resource Hub.
Summary
Last updated: October 2017
The information for this site summary was adapted from documents listed in the Relevant Documentation section and incorporates any further information gathered since these documents were produced.
Site overview
Rockall Bank is an offshore bank situated in the North-East Atlantic, approximately 400 km west of the Outer Hebrides. It is oriented north-east to the south-west and is approximately 450 km in length and 200 km wide. Depth ranges from over 1,000 m at the base of the Rockall Bank, to 200 m across much of the top. The centre of the bank breaks the surface forming a rocky island outcrop around 25 m wide and 20 m high. On account of their sheer size, oceanic banks such as Rockall cause deviation of ocean currents along their flanks. This facilitates the colonisation of habitat-forming corals which depend on a consistent supply of current-transported organic matter and zooplankton. Rockall Bank is potentially one of the most extensive sites for biogenic reef formed by cold-water coral species in UK waters.
Included within areas of stony reef are sizeable patches of Annex I biogenic reef comprising the cold-water coral Lophelia pertusa and associated species, including erect sponges and the pencil urchin (Cidaris cidaris). Stands of Madrepora oculata, another cold-water coral species, are also present. Evidence from the 1970s suggests that areas of Lophelia pertusa reef up to 30 m in diameter existed on the North West Rockall Bank, though more recent surveys (albeit at different locations in this region) have recorded reefs smaller in size. Cobble rubble surrounds the living reefs in many places and supports fauna such as squat lobsters (Munida rugosa), sea cucumbers (Parastichopus tremulus) and the bluemouth red fish (Helicolenus dactylopterus).
The north-west area of the Rockall Bank is covered in a layer of fine sediment, gravel, cobbles and boulders of glacial origin, some of which is shaped into characteristic 'ploughmark' formations by icebergs during the last ice age. These iceberg ploughmarks are a variant of Annex I stony reef and consist of lines of cobbles and boulders with a sediment-filled furrow between. The associated biological communities are dependent on this mixed sediment and stony substratum, rather than on the underlying bedrock. Notable species include sessile fauna such as erect bryozoa (e.g. Reteporella sp.), solitary corals (e.g. Caryophyllia sp.), serpulid worms and many types of sponge including globose, tubular, cup and encrusting varieties.
Further detail on the evidence for this SAC can be found in the Monitoring and Evidence section.
Site location: Co-ordinates for this SAC can be found in the Standard Data Form listed in the Relevant Documentation section.
Site area: 4,365 km²
Site depth range: The depth of the site ranges from 102 m below sea-level along the crest of the bank down to 428 m below sea-level at the base of the bank formation.
Charting Progress 2 Biogeographic Region: Atlantic North-West Approaches, Rockall Trough and Faroe-Shetland Channel.
Site boundary description: The boundary is a relatively simple polygon enclosing the minimum area necessary to ensure the protection of the Annex I habitats and is defined by whole degrees, minutes and seconds. The SAC boundary definition guidelines indicate that where interest features are at risk from bottom trawling, a margin should be included in the proposed boundary to ensure their protection. Further information on how this margin has been applied can be found in the site selection assessment document. It is notable that the site boundary follows, for the most part, the boundary of the Common Fisheries Policy and Animals (Amendment etc.) (EU Exit) Regulations 2019 and North-East Atlantic Fisheries Commission demersal fishing closure (NEAFC Recommendation IX-2008).
Monitoring and Evidence
Last updated: November 2023
The full overview of the data used to support site identification, along with information on confidence in feature presence and extent is available in the North West Rockall Bank MPA SAC Selection Assessment Document. JNCC will be adding relevant survey data for this MPA to its MPA mapper in due course.
Some of the data for this SAC have been collected through JNCC-funded or collaborative surveys and some through other means. Data from these surveys provide direct evidence confirming the presence of the protected features within the site.
Survey and data gathering
- Deep-water surveys off north and west Scotland (2011) – JNCC contributed to a survey by the National Oceanographic Centre (NOC) to areas of conservation interest (including North West Rockall SAC) in deep waters off north and west Scotland. The overall objectives of the survey were to investigate the response of deep-sea benthic ecosystems to spatial and temporal variability in environmental parameters.
- Mapping seabed habitats and Annex I Reef (2011) – JNCC joined a Marine Scotland Science survey of the Haddock stock of the Rockall Plateau. Video and acoustic surveys mapped seabed habitats and coral reef within North-West Rockall.
- Broadscale habitat survey and Mapping of Annex I reef habitat at Rockall Bank (2005–2008) – JNCC and the University of Plymouth opportunistically joined four Marine Scotland Science fisheries research cruises, in 2005, 2006, 2007 and 2008, to collect video footage and stills. The aim was to confirm the presence and map the distribution of Annex I reef habitat on Rockall Bank and to propose a possible boundary for a Marine Protected Area.
Data analysis reports
- Deep-water surveys off north and west Scotland (2011) – JNCC commissioned Plymouth University and the National Oceanography Centre to analyse the biological data from the 2011 survey, and information is available in Howell et al (2014). This analysis will contribute to the provision of advice on the condition and long-term monitoring plans for North-West Rockall Bank SAC.
- Broadscale survey and Mapping of Annex I reef habitat at Rockall Bank (2005–2008) – The 2005–2008 JNCC and University of Plymouth survey data was analysed by Howell et al (2009). The aim of the study was to confirm the presence and map the distribution of Annex I reef habitat on Rockall Bank and to propose possible boundaries for SACs.
Additional relevant literature
References for further supporting scientific literature consulted during the identification of this site can be found in the SAC Selection Assessment Document. Please be aware that although these sources contain information which is of interest in relation to this MPA, they do not necessarily represent the views of JNCC.
- Robert, K., Jones, D.O.B., Huvenne, V.A.I. (2014). Megafaunal distribution and biodiversity in a heterogeneous landscape: the iceberg scoured Rockall Bank, NE Atlantic. Marine Ecology Progress Series, 501: 67-88. Examines the heterogeneity of deep-sea environments and their consequent biodiversity. The authors find that biodiversity increases as environmental variability increases. Seafloor heterogeneity is proposed as a proxy for biological diversity where evidence is limited as it is more easily surveyed (using acoustic techniques).
- Masson. D., Bett. B.J., Billett. D.S.M., Jacobs. C.L.,Wheeler. A.J. and Wynn. R.B. (2003).The origin of deep-water, coral-topped mounds in the northern Rockall Trough, Northeast Atlantic. Marine Geology, 194: 59–180. Examines the origin of sea mounds and their relationship with cold-water coral distribution in the northern Rockall trough. The study concludes that the elevation of the mounds is key to colonisation by cold-water corals.
Knowledge gaps
As part of the UK Marine Monitoring and Assessment Strategy (UKMMAS), JNCC led the development of a UK Marine Biodiversity Monitoring Strategy, working with partners across the UK monitoring community. The Strategy spans UK territorial and offshore waters, focusing on biodiversity in the wider environment and within Marine Protected Areas. Its aim is to implement efficient, integrated monitoring of marine biodiversity to provide the evidence needed for all the UK's policy drivers.
The Marine Directorate of Scottish Government, in partnership with JNCC and NatureScot, developed a Scottish Marine Protected Area (MPA) monitoring strategy. The Strategy spans Scottish territorial and offshore waters, focusing on biodiversity within Marine Protected Areas. The Strategy is supported by a series of annexes which provide more detail on monitoring methods, collaborative working, current monitoring and a two year forward look for MPA monitoring in Scottish waters.
The evidence collected during MPA monitoring surveys is used in combination with other available evidence to:
- Enable assessment of condition of the features within sites;
- Contribute to the assessment of the degree to which management measures are effective in achieving the conservation objectives for the protected features;
- Support the identification of priorities for future protection and/or management; and,
- Enable Government to fulfil its national and international assessment and reporting commitments in relation to MPAs and help identify where further action may be required.
More detail on offshore MPA monitoring can be found on the Offshore MPA monitoring webpage. A list of monitoring surveys and relevant reports can be found on the MPA monitoring survey reports webpage.
If you are aware of any additional information not referred to in the Relevant Documentation section, please contact us.
Conservation Advice
Last updated: March 2018
Updated formal conservation advice is now available for this MPA. Further information on the approach used to develop this advice is available on our 'Conserving MPAs' webpage along with a Glossary of Terms used in JNCC conservation advice and a short video explaining how to use the conservation advice packages.
You must refer to this advice if you:
- undertake a Habitats Regulation Assessment (HRA) for a plan or project that could impact the site;
- provide information for a HRA;
- respond to specific measures to support delivery of the conservation objectives for the site; and
- consider the need to put new or additional management measures in place.
You may also find it useful to refer to this advice if you:
- carry out any other activity that could impact the site.
We will engage with stakeholders to identify any lessons which JNCC can learn from customers who have used the advice, with a view to continuing to ensure it is fit-for-purpose.
The following table provides an overview of the components of the conservation advice and provides hyperlinks to each of the products for this MPA. These elements together form JNCC’s formal conservation advice for this site and should be read in conjunction with each other. This updated advice replaces the previous Regulation 18 package for the site. This advice reflects the most up-to-date evidence held by JNCC (correct as of March 2018).
| Document | Overview |
|---|---|
| Background Information |
Explains the purpose of the advice and when it must be referred to. |
|
|
The conservation objectives set out the broad ecological aims for the site. JNCC provides supplementary advice in the SACO which is essential reading to support interpretation of these conservation objectives. You can use these documents to assess the impacts of your planned activity on the important attributes of the site. Please note our current understanding of whether the available evidence indicates that each attribute needs to be restored or maintained is not provided here. However, links to available evidence for the site are provided and should you require further site-specific information for the site, please contact us. |
| Conservation Advice Statements |
These statements provide a summary of the Supplementary Advice on the Conservation Objectives (SACO).
|
| Advice on Operations |
Provides information on the activities capable of affecting site integrity and therefore achievement of the site’s conservation objectives. This is a starting point for determining potential management requirements. It does not take into account the intensity, frequency or cumulative impacts from activities taking place. It is simply to advise you of the possible adverse impacts that your activity can have on a MPA’s features. Use the advice on operations to determine those pressures your activity causes that could harm the habitat and/or species features of the site. |
These resources are available on JNCC's Resource Hub.
Image Gallery
Published:
