Status: Marine Conservation Zone (MCZ)
South-West Deeps (West) MCZ is an offshore site situated to the south-west of England, approximately 230 km from Land’s End in Cornwall.
Site
Situated to the south-west of England, South-West Deeps (West) MCZ is an offshore site approximately 230 km from Land’s End in Cornwall.
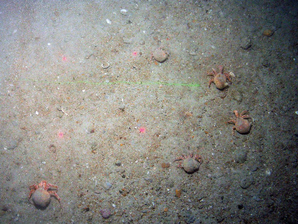
The site protects approximately 1,800 km2 of continental shelf seabed that is predominantly sandy with coarse and mixed sediments across the site extent forming different habitats. These habitats are known to support a range of animal species, including those which live within the sediments, such as small burrowing worms and bivalve molluscs to urchins, starfish and some crustaceans that live on the sediment surface. Furthermore, the site protects the geologically important large Celtic Sea Relict Sandbanks
More detailed site information can be found in the Summary section below.
Map displaying the South-West Deeps (West) MPA boundary and associated protected feature data. Visit JNCC's MPA Mapper to further view and explore data for this MPA.
Legislation
Legislation behind the designation: Marine and Coastal Access Act (2009).
Protected Features
| Protected Feature | Feature Type |
| Subtidal coarse sediment | Broadscale marine habitat |
| Subtidal sand | Broadscale marine habitat |
| Subtidal mud | Broadscale marine habitat |
| Subtidal mixed sediments | Broadscale marine habitat |
| Fan mussel (Atrina fragilis) | Species of marine fauna |
| Celtic Sea Relict Sandbanks |
Feature of geomorphological interest |
Specific information on the conservation objectives relating to this site is provided in the Conservation Advice section.
The acquisition of new data may result in updates to our knowledge on feature presence and extent within this site. The most up-to-date information is reflected on the map at the top of this section and in JNCC's MPA Mapper, with the evidence underpinning available in the Monitoring and Evidence section.
Site Timeline
The diagram below is a summary of the key milestones involved in the selection and designation of South-West Deeps (West) MCZ. More detail can be found in the Relevant Documentation section below.
Relevant Documentation
The documents referred to below and any other historical documents relating to South-West Deeps (West) MCZ were produced during the selection and designation process and therefore may be out of date. This Site Information Centre is the most up-to-date source of information for this MPA, and will reflect any additional information gathered since these documents were produced. Further information about the Marine Conservation Zone site selection process and historic MCZ advice is available on JNCC's MCZ webpages.
- South-West Deeps (West) MCZ Designation Order (2013) – Official description of the site designation under the Marine and Coastal Access Act 2009. The Designation Order includes boundary co-ordinates, conservation objectives and a list of the designated features.
- South-West Deeps (West) MCZ Amended Designation Order (2016) – Official description of the site designation under the Marine and Coastal Access Act 2009, amended to include additional features designated in Tranche Two. More information on the designation, including a designation map, is available on Defra's website.
- JNCC's formal conservation advice for this site is available in the Conservation Advice section.
Summary
Last updated: October 2017
The information for this site summary was adapted from Regional MCZ project report and documents in the Monitoring and Evidence section.
Site Overview
South-West Deeps (West) MCZ is situated approximately 230 km offshore from the south-west of England. The site is an area of continental shelf that is predominantly sandy with a mixed distribution of coarse and mixed sediments across the site extent. The geomorphological feature, Celtic Sea Relict Sandbanks, runs down the length of the site, from north to south. The sandbanks are some of the largest examples of this feature on Earth and some of the ridges extend up to 200 km long, 15 km wide and 50 m high.
The site protects subtidal habitats that are representative of offshore habitats in UK waters. This includes the protection of almost 1,500 km2 of Subtidal sand, as well as Subtidal coarse sediment and Subtidal mixed sediments. These habitats support a range of animal species including polychaete worms, veneroid molluscs and echinoderms, including sea urchins and starfish. Cnidarians, such as anemones, are also present alongside a variety of crustaceans and fish species, including the Cuckoo ray (Leucoraja naevus) and Monk or Angler fish (Lophius piscatorius).
A detailed survey was undertaken in May 2013 after the site had been advised upon by JNCC for designation by Defra and the resulting data confirmed the presence of Subtidal mud (40.31 km2), an additional broad-scale habitat, and Mud Habitats in Deep Water, a habitat Feature Of Conservation Importance (FOCI). This survey also identified the presence of a species FOCI, the Fan Mussel, Atrina fragilis. These two features were added to the South-West Deeps (West) MCZ Designation Order in Tranche Two of MCZ designations in 2016.
South-West Deeps (West) MCZ is situated 200 km from East of Haig Fras MCZ, which was also designated in November 2013, and 132 km North West from North-West of Jones Bank MCZ. These sites contribute to connectivity and representativity of the features within the Western Channel and Celtic Sea biogeographic area. Further detail on the evidence for this MCZ can be found in the Monitoring and Evidence section.
Site location: Co-ordinates for this MCZ can be found in the Designation Order listed in the Relevant Documentation section.
Site area: 1,824 km2 South-West Deeps (West) MCZ is similar in size to the Yorkshire Dales National Park (1,769 km2) in the north of England.
Site depth range: South-West Deeps (West) MCZ varies in depth from between approximately 100 m depth in the north east of the site, to 200 m depth in the southern part of the site.
Charting Progress 2 Biogeographic Region: Western Channel and Celtic Sea.
Site boundary description: The western boundary of South-West Deeps (West) MCZ aligns with the UK Continental Shelf boundary and the site polygon is completed by three simple straight lines. The boundary is in accordance with the MCZ Ecological Network Guidance, which advises using a minimum number of simple lines to delineate the site. As the site is adjacent to the UK Continental Shelf boundary, the boundary of the site was amended to align with the UK Continental Shelf boundary when it changed in 2014.
Monitoring and Evidence
Last updated: November 2023
Site-specific data
There are a range of data that underpin this MCZ. The full overview of the data used to support site identification, along with information on confidence in feature presence and extent is available in JNCC's 2013 Post-Consultation Advice. JNCC will be adding relevant survey data for this MPA to its MPA Mapper in due course.
Some of the data for this MCZ have been collected through JNCC-funded or collaborative surveys and some through other means. Data from these surveys provide direct evidence confirming the presence of the protected features within the site.
Survey and data gathering
- South-West Deeps (West) MCZ verification survey (2013) – JNCC and Cefas collaborated on this survey, which was conducted in two parts by Gardline (10 February – 25 March 2013) and Cefas (7–28 May 2013). The primary objective of this survey was to collect multibeam echosounder bathymetric and backscatter data and photographic ground-truthing data to increase confidence in the spatial extent of South-West Deeps (West) MCZ designated features.
- British Geological Survey particle size analysis data – Supporting information on the presence and extent of the broad-scale habitats Subtidal coarse sediment, Subtidal sand and Subtidal mixed sediments was provided by particle size analysis of sediment samples from historical BGS surveys.
Data analysis reports
- South-West Deeps (West) MCZ Post-survey site report (2015) – Data from the 2013 verification survey was analysed by Cefas. The analysis confirms the presence of subtidal coarse sediment, subtidal sand and subtidal mixed sediments. The analysis also identified the presence of an additional broad-scale habitat, Subtidal mud, and the Features of Conservation Importance (FOCI) the fan mussel (Atrina fragilis). Please note that all the information contained in this Site Information Centre only refers to the three broad-scale habitats and Celtic Sea Relict Sandbanks geomorphological feature designated in 2013.
- Community analysis of South-West Deeps (West) MCZ data (2014) – JNCC contracted Seastar Survey Ltd to complete a community analysis of offshore MCZ grab and video data to establish biotopes. The following biotopes were recorded in South West Deeps (West) MCZ:
-
SS.SCS.OCS A5.15: Deep circalittoral coarse sediment
-
SS.SSa.OSa A5.27: Deep circalittoral sand
-
SS.SMx.OMx A5.45: Deep circalittoral mixed sediments
-
SS.SMx.OMx.PoVen A5.451: Polychaete-rich deep Venus community in offshore mixed sediments
-
SS.SMx.OMx.Csmi A5.45x: Deep circalittoral mixed sediment with Caryophyllia smithii (possible new biotope)
-
SS.SSa.OSa.(Ech) A5.27x: Deep circalittoral sand with heart urchins (possible new biotope)
-
SS.SSa.OSa.(Pex) A5.27x : Deep circalittoral sand with Paraphellia expansa (possible new biotope)
-
SS.SSa.OSa / SS.SMu.OMu A5.27: Deep circalittoral sand / A5.37: Deep circalittoral mud
-
- Mapping seabed sediments of the Swallow Sand and South-West Deeps (West) MCZs (2014) – JNCC commissioned the British Geological Survey to undertake geostatistical mapping of the seabed sediments.
- EUSeaMap – Supporting information on the presence and extent of subtidal coarse sediment, subtidal sand, subtidal mud and subtidal mixed sediments from a predictive seabed habitat map of European waters.
- Mapping of Geological and Geomorphological Features (MB0102 Task 2A) (2009) – Defra commissioned a collation of data to map geological and geomorphological features, including the Celtic Sea Relict Sandbanks.
Additional relevant literature
References for further supporting scientific literature consulted during the identification of this site can be found in the annexes of our advice. Please be aware that although these sources contain information in relation to this MPA, they do not necessarily represent the views of JNCC.
Knowledge gaps
As part of the UK Marine Monitoring and Assessment Strategy (UKMMAS), JNCC led the development of a UK Marine Biodiversity Monitoring Strategy, working with partners across the UK monitoring community. The Strategy spans UK territorial and offshore waters, focusing on biodiversity in the wider environment and within Marine Protected Areas. Its aim is to implement efficient, integrated monitoring of marine biodiversity to provide the evidence needed for all the UK's policy drivers.
The evidence collected during MPA monitoring surveys is used in combination with other available evidence to:
- Enable assessment of condition of the features within sites;
- Contribute to the assessment of the degree to which management measures are effective in achieving the conservation objectives for the protected features;
- Support the identification of priorities for future protection and/or management; and,
- Enable Government to fulfil its national and international assessment and reporting commitments in relation to MPAs and help identify where further action may be required.
More detail on offshore MPA monitoring can be found on the Offshore MPA monitoring webpage. A list of monitoring surveys and relevant reports can be found on the MPA monitoring survey reports webpage.
If you are aware of any additional information not referred to above, in the Relevant Documentation section, or the annexes of the MCZ advice documents, please contact us.
Conservation Advice
Last updated: March 2018
Updated formal conservation advice is now available for this MPA. Further information on the approach used to develop this advice is available on our 'Conserving MPAs' webpage along with a Glossary of Terms used in JNCC conservation advice and a short video explaining how to use the conservation advice packages.
You must refer to this advice if you:
- undertake an MCZ assessment for a plan or project that could impact the site;
- provide information for such an assessment;
- respond to specific measures to further the conservation objectives for the site; and
- consider the need to put new or additional management measures in place.
You may also find it useful to refer to this advice if you:
- carry out any other activity that could impact the site.
We will engage with stakeholders to identify any lessons which JNCC can learn from customers who have used the advice, with a view to continuing to ensure it is fit-for-purpose.
The following table provides an overview of the components of the conservation advice, and provides hyperlinks to each of the products for this MPA. These elements together form JNCC’s formal conservation advice for this site and should be read in conjunction with each other. This advice reflects the most up-to-date evidence held by JNCC (correct as of March 2018).
| Document | Overview |
|---|---|
| Background Information | Explains the purpose of the advice and when it must be referred to. |
|
|
The Conservation Objectives set out the broad ecological aims for the site. JNCC provides supplementary advice in the SACO which is essential reading to support interpretation of these conservation objectives. You can use these documents to assess the impacts of your planned activity on the important attributes of the site. |
| Conservation Advice Statements |
These statements provide a summary of the Supplementary Advice on the Conservation Objectives (SACO).
|
| Advice on Operations |
Provides information on the activities capable of affecting site integrity and therefore achievement of the site’s conservation objectives. This is a starting point for determining potential management requirements. It does not take into account the intensity, frequency or cumulative impacts from activities taking place. It is simply to advise you of the possible adverse impacts that your activity can have on a MPA’s features. Use the advice on operations to determine those pressures your activity causes that could harm the habitat and/or species' features of the site. |
These resources are available on JNCC's Resource Hub.
Image Gallery
Published:
