Please be advised that as of 16 October 2025, new fisheries management measures are in force for Darwin Mounds SAC. The fisheries measures for this site are demersal mobile and demersal static gear prohibited from full site. For more information about these fisheries measures please see 'Offshore Marine Protected Areas - fisheries management measures: supporting guidance on coordinates and restrictions' on the Scottish Government website. Updated conservation advice will be provided in due course.
Status: Special Area of Conservation (SAC)
The Darwin Mounds SAC lies at the north end of the Rockall Trough located approximately 160 km north-west of Cape Wrath, Scotland, with depths between 710 m and 1,129 m.
Video
Site
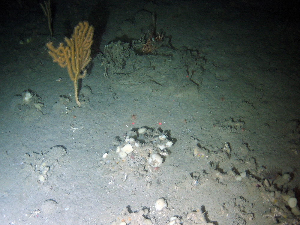
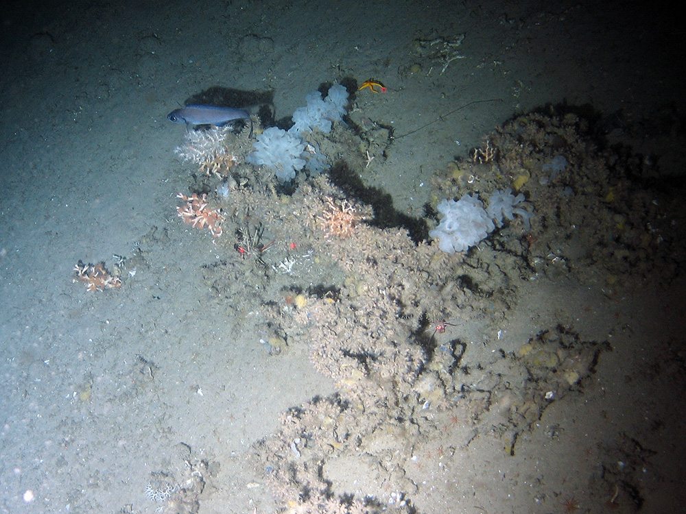
The Darwin Mounds SAC is located approximately 160 km north-west of Cape Wrath, Scotland, at the north end of the Rockall Trough. The site contains an extensive area of sandy mounds, each capped with multiple thickets of cold-water corals. Unlike most cold-water corals which attach to hard-surfaces, at this site the corals grow on sand. The thickets of coral range in size from one to several metres in diameter and support many other species, such as starfish, sponges and large populations of xenophyophores. Xenophyophores are the world’s largest single-celled organisms and are only found in deep-sea environments. They provide shelter for a range of small sea creatures, many of which are prey for larger species, and act as an elevated perch for filter feeders such as brittlestars.
More detailed site information can be found in the Summary section below.
Map displaying the Darwin Mounds MPA boundary and associated protected feature data. Visit JNCC's MPA Mapper to further view and explore data for this MPA.
Legislation
Legislation behind the designation: EU Habitats Directive 1992 transposed into UK law by The Conservation of Offshore Marine Habitats and Species Regulations 2017 (as amended).
Protected Features
| Feature | Feature Type |
| 1170 Reefs | Annex I Habitat |
Specific information on the conservation objectives relating to this site is provided in the Conservation Advice section.
The acquisition of new data may result in updates to our knowledge on feature presence and extent within this site. The most up-to-date information is reflected on the map on this page and in JNCC’s MPA mapper and the evidence underpinning this can be viewed in the Monitoring and Evidence section.
Site Timeline
The diagram below summarises the key milestones involved in the selection and designation of Darwin Mounds SAC. More detail can be found within the Relevant Documentation section.
Relevant Documentation
The documents referred to below and any other historical documents relating to Darwin Mounds SAC were produced during the selection and designation process and therefore may be out of date. This site information centre is the most up-to-date source of information for Darwin Mounds SAC, and will reflect any additional information gathered since these documents were produced. Information about the SAC site selection process is available on JNCC's SAC webpages.
- Post-Consultation Report and Impact Assessment (2007) – Overview of the consultation outcomes, and an assessment of the environmental, social and economic costs and benefits of the designation.
- SAC Selection Assessment Document (2008) – Overview of the SAC, designated features and site selection rationale.
- Standard Data Form (2015) – Details about the SAC and the designated features.
- JNCC's formal conservation advice for this site is accessible through the Conservation Advice section.
These resources are available on JNCC's Resource Hub.
Summary
Last updated: October 2017
Information for this site summary was adapted from the SAC Selection Assessment Document and incorporates any further information gathered since this document was produced. Please refer to this document for further details and information sources.
Site overview
The Darwin Mounds is located approximately 160 km north-west of Cape Wrath, Scotland, at the north end of the Rockall Trough. The site consists of a large number of coral-topped 'sand volcanoes' composed of sand overlying mud. The individual mounds are up to 75 m wide and 5 m high and are morphologically unique in UK waters. The mounds themselves are unusual geological features that are thought to have been formed by fluid expulsion from the seabed. The mounds are most elevated to the north of the site and diminish in height to the south. There are two denser regions of mounds in the north-east and north-west of the site. The north-east field of the Darwin Mounds measures approximately 13 km by 9 km and contains approximately 150 mounds, whereas the north-west field measures approximately 13 km by 4 km and contains approximately 75 mounds.
The mounds in the northern part of the site showed an acoustic signature of a "tail" which generally lies to the south-west of the mound feature consisting of elongate to oval patches up to 500 m long. The 'tail' feature of the mounds is thought to be unique globally. The tails are not topographically distinct from the surrounding seabed but are covered with a fine veneer of sand. They support substantial numbers of the xenophyophore Syringammina fragilissima (a single-celled organism that can grow up to 20 cm in diameter), in densities greater than the surrounding seabed.
On the majority of the mounds there are also multiple colonies of Lophelia pertusa growing, which in many cases have formed thickets which arise from the surface of the mound. This site was the first observed record of cold-water coral reefs growing on sand at the time of discovery. Like the topography of the mounds, the frequency of coral communities diminishes towards the south of the mound field. Although the reef habitat on top of the mounds is formed primarily from Lophelia pertusa, another cold-water coral – Madrepora oculata – is also present. The thickets of cold-water corals provide a habitat for echiuran worms, brittlestars, brisingiid starfish and sponges. Various fish have been observed among the mounds, but not at higher densities than the wider environment.
Within the Atlantic north-west approaches, Rockall Trough and Faroe-Shetland Channel Regional Sea, where Darwin Mounds SAC is situated, there are three other SACs designated for the presence of Annex I reef: Anton Dohrn Seamount SAC, North West Rockall Bank SAC and East Rockall Bank SAC. Each site represents different types of Annex I reef. Wyville Thomson Ridge SAC on the edge of the adjacent Scottish continental shelf regional sea is also designated for Annex I reef. The tail feature observed on mounds in the northern part of the Darwin Mounds site is thought to be globally unique from a geological perspective. Further detail on the evidence for this SAC can be found in the Monitoring and Evidence section.
Site location: Co-ordinates for this SAC can be found in the Standard Data Form listed in the Relevant documentation section.
Site area: 1,377 km2, a similar size to the Brecon Beacons National Park (1,344 km2)
Site depth range: 710–1,129 m.
Charting Progress 2 Biogeographic Region: Atlantic North-West approaches, Rockall Trough and Faroe-Shetland Channel. A small part of the site extends into the Scottish continental shelf biogeographic region.
Site boundary description
The boundary of the Darwin Mounds SAC is a simple polygon, fully enclosing the minimum area necessary to ensure protection of the Annex I feature. The boundary has been aligned with the area permanently closed to bottom trawling by Common Fisheries Policy and Animals (Amendment etc.) (EU Exit) Regulations 2019 (S.I. 2019, No. 1312)
As bottom trawling is a significant threat to the interest feature the proposed boundary includes a margin to ensure its protection. The maximum depth of water around the feature is 1,000–1,100 m. Fishing vessels which are bottom trawling in the region need a minimum towline length of twice the depth of water in which they are fishing. Assuming a ratio of 2:1 fishing warp length to depth, the proposed boundary is defined to include a margin of 2,200 m from the cold-water coral reefs.
Monitoring and Evidence
Last updated: November 2023
For a full overview of the data used to support site identification along with information on confidence in feature presence and extent see the Darwin Mounds SAC Selection Assessment Document. Additional survey data will be added to JNCC's MPA mapper in due course.
Data for this SAC have been primarily collected through JNCC-funded or collaborative surveys, with other data obtained through other data sourcing. The data gathered provide direct evidence confirming the presence of the protected features within the site.
Survey and data gathering
- RRS Discovery Cruise DY108-109 (2019) - A collaborative expedition combining three NERC projects mainly within Darwin Mounds MPA, led by the National Oceanography Centre and the University of Southampton. JNCC acted as the Marine Mammal Observer and for policy context. The first aim under the National Capability Programme CLASS, concerned identifying and quantifying long-term changes to the habitat, thereby assessing the status of the coral mounds. The second aim, under the BioCAM project, was to trial new survey technology, the BioCAM system, to monitor the benthic habitat. The third aim, under BLT - Recipes, a joint project between NERC and NSF, was to conduct Oceanographic surveys, at the Irish margin of the Rockall Trough using two 24-hour CTD stations, and along the "Ellett Line" using single CTD casts, outside of the Darwin Mounds MPA.
- Deep Links Project (2016) – A collaborative project between Plymouth University's Deep Sea CRU and University of Oxford, in partnership with JNCC and British Geological Survey, funded by NERC. During May and June 2016 the team undertook a 6 week research cruise in the North East Atlantic, including Anton Dohrn Seamount, on board the RRS James Cook collecting data. This project aims to investigate the theory that populations at bathyal depths are more isolated because the currents that transport larvae decrease with depth.
- Survey of Darwin Mounds and North West Rockall (2011) – JNCC collaborated with the National Oceanography Centre and Plymouth University to carry out habitat mapping to assess the status of different benthic habitats in relation to human activities, especially deep-sea bottom trawling. Acoustic and underwater imagery data were collected.
- RRS Charles Darwin Cruise 123C3-4 (2000) – The cruise formed part of the continuing AMES undertaken by the National Oceanography Centre in waters to the north and west of Scotland. Seabed samples and underwater imagery were collected to study environmental parameters and benthic communities.
- RRS Charles Darwin cruise 119C leg B (1999) – The cruise was undertaken by the National Oceanography Centre and expanded on the work undertaken on the AFEN Atlantic Margin Environmental Survey (AMES). The cruise collected acoustic maps of the seafloor, along with photographic and video observations. Where possible, seabed samples were also collected to analyse selected environmental parameters.
- Atlantic Frontier Environmental Network Survey (1998) – The Atlantic Frontier Environment Network (AFEN; including JNCC) commissioned a survey to map and sample the seabed to the north and west of Scotland, allocated for oil and gas exploration in 1997. The aim of the survey was to provide the shape and texture of the seabed, the fauna and the physical processes affecting them, both of today and over the last 10–15,000 years. The Darwin Mounds were discovered on this cruise.
Data analysis reports
Further analysis of data gathered as part of the surveys listed above are available via the following reports:
- Analysis of biological data from the JC060 survey in deep waters off north and west Scotland (2014) – This report by Howell et al. (2014) analysed the data collected during the JC060 survey to the Darwin Mounds and North West Rockall.
- Seafloor biotope analysis of the deep waters of the SEA4 region of Scotland’s seas (2012) – JNCC commissioned a contract to identify representive biotopes of the SEA4 region. The report drew on survey data collected by the 1998 AFEN survey and the 1999 and 2000 National Oceanography Centre.
Additional relevant literature
References for further supporting scientific literature consulted during the identification of this site can be found in the SAC Selection Assessment Document. Please be aware that although these sources contain information which is of interest in relation to this MPA, they do not necessarily represent the views of JNCC.
- Huvenne V.A.I., Bett B.J., Masson D.G., Le Bas T.P. and Wheeler A.J. (2016) Effectiveness of a deep-sea cold-water coral Marine Protected Area, following eight years of fisheries closure. Biological Conservation, 200; 60–69.
- Masson, D.G., Bett, B.J., Billett, D.S.M., Jacobs, C.L., Wheeler, A.J. and Wynn, R.B. (2003) The origin of deep-water, coral-topped mounds in the northern Rockall Trough, Northeast Atlantic. Marine Geology, 194: 159–180.
- Bett, B.J. (2001) UK Atlantic Margin Environmental Survey: Introduction and overview of bathyal benthic ecology. Continental Shelf Research, 21: 917–956.
- Bett, B.J., Billett, D.S.M., Masson, D.G., Tyler, P.A. et al. (2001) RRS Discovery Cruise 248: 07 Jul – 10 Aug 2000. A multidisciplinary study of the environment and ecology of deep-water coral ecosystems and associated seabed facies and features (The Darwin Mounds, Porcupine Bank and Porcupine Seabight). National Oceanography Centre Cruise Report 36: 108. – This cruise formed part of the work done by the National Oceanography Centre for the EU funded Atlantic Coral Ecosystem Study and ECOMOUND projects. These projects investigated the geological processes underlying the formation of the Darwin Mounds, and studied the biology and ecology of cold water coral reefs.
Knowledge gaps
As part of the UK Marine Monitoring and Assessment Strategy (UKMMAS), JNCC led the development of a UK Marine Biodiversity Monitoring Strategy, working with partners across the UK monitoring community. The Strategy spans UK territorial and offshore waters, focusing on biodiversity in the wider environment and within Marine Protected Areas. Its aim is to implement efficient, integrated monitoring of marine biodiversity to provide the evidence needed for all the UK's policy drivers.
Scottish Government's Marine Directorate, in partnership with JNCC and NatureScot, developed a Scottish Marine Protected Area (MPA) monitoring strategy. The Strategy spans Scottish territorial and offshore waters, focusing on biodiversity within Marine Protected Areas. The Strategy is supported by a series of annexes which provide more detail on monitoring methods, collaborative working, current monitoring and a two year forward look for MPA monitoring in Scottish waters.
The evidence collected during MPA monitoring surveys is used in combination with other available evidence to:
- Enable assessment of condition of the features within sites;
- Contribute to the assessment of the degree to which management measures are effective in achieving the conservation objectives for the protected features;
- Support the identification of priorities for future protection and/or management; and,
- Enable Government to fulfil its national and international assessment and reporting commitments in relation to MPAs and help identify where further action may be required.
More detail on offshore MPA monitoring can be found on the Offshore MPA monitoring webpage. A list of monitoring surveys and relevant reports can be found on the MPA monitoring survey reports webpage.
If you are aware of any additional data or relevant scientific papers for this site not listed here, please contact us.
Conservation Advice
Last updated: March 2018
Updated formal conservation advice for this MPA was produced in March 2018. Further information on the approach used to develop this advice is available on our Conservation Advice webpages along with a Glossary of Terms used in JNCC conservation advice and a short video explaining how to use the conservation advice packages.
You must refer to this advice if you:
- undertake a Habitats Regulation Assessment (HRA) for a plan or project that could impact the site;
- provide information for a HRA;
- respond to specific measures to support delivery of the conservation objectives for the site; and
- consider the need to put new or additional management measures in place.
You may also find it useful to refer to this advice if you:
- carry out any other activity that could impact the site.
We will engage with stakeholders to identify any lessons which JNCC can learn from customers who have used the advice, with a view to continuing to ensure it is fit-for-purpose.
The following table provides an overview of the components of the conservation advice, and provides hyperlinks to each of the products for this MPA. These elements together form JNCC’s formal conservation advice for this site and should be read in conjunction with each other. This advice reflects the most up-to-date evidence held by JNCC (correct as of March 2018).
| Document | Overview |
| Background Information | Explains the purpose of the advice and when it must be referred to. |
|
|
The Conservation Objectives set out the broad ecological aims for the site. JNCC provides supplementary advice in the SACO which is essential reading to support interpretation of these conservation objectives. You can use these documents to assess the impacts of your planned activity on the important attributes of the site. Please note our current understanding of whether the available evidence indicates that each attribute needs to be restored or maintained is not provided here. However, links to available evidence for the site are provided and should you require further site-specific information for the site, please contact us. |
| Conservation Advice Statements |
These statements provide a summary of the Supplementary Advice on the Conservation Objectives (SACO).
|
| Advice on Operations |
Provides information on the activities capable of affecting site integrity and therefore achievement of the site’s conservation objectives. This is a starting point for determining potential management requirements. It does not take into account the intensity, frequency or cumulative impacts from activities taking place. It is simply to advise you of the possible adverse impacts that your activity can have on a MPA’s features. Use the advice on operations to determine those pressures your activity causes that could harm the habitat and/or species features of the site. |
These resources are available on JNCC's Resource Hub.
Image Gallery
Published:
